Frederick Road

From Historical Hastings
Frederick Road
Other Names
Former name(s)Cackle Street
Named AfterFrederick Tuppenney
Construction
Completion1903

Originally known as Cackle Street for the livestock farmed adjacent to the ​road​, this ​road​ was renamed after mayor Ald. Frederick Tuppenney in 1903.

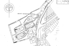
Following the demolition of Mount Pleasant Hospital around 1996, plans were in place for a housing development to the east of the ​road​, leading to a spine ​road​ and what became essentially a roundabout to nowhere being constructed but the construction of ​building​s did not take place[1]. Subsequently a revised planning application has been submitted in 2019 to build on the site[2].

Images & Features[edit]

N.B. The 'features' tab, whilst returning buildings and business premises in this road is not operating correctly, therefore a 'Dev.Use' tab is in place to explore alternative ways of retrieving this data.

Images[edit]


References & Notes

  1. Hastings Borough Council Planning application ref HS/OA/96/00289
  2. Hastings Borough Council Planning application ref HS/OA/19/00542